接客管处通知,为做好迎亚运工作,广卫路西段将进行半边封闭施工改造,届时广卫路将分两阶段进行施工,第一阶段封闭西往东方向,全线改为东往西单向行驶;第二阶段在第一阶段施工完成后,封闭东往西方向,全线改为西往东单向行驶。为配合上述工程施工,经研究,决定临时调整公共汽车广卫路总站。现在有关事项通知如下:
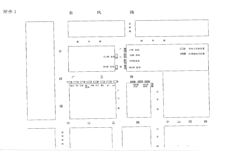
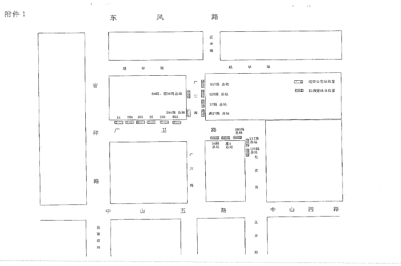
一、第一阶段施工期间将原停靠广卫路南侧公交总站的我公司27路、高峰1路总站临时广仁路和广卫路东端(临时总站安排详见附件1)。第一阶段施工结束后,各线迁回原总站。第二阶段施工期间,原停靠广卫路北侧公交总站的我公司14路、22路总站临时迁移至广仁路(临时总站安排详见附件2)。施工完成后,各线迁回原总站。施工期间各线绕行情况详见附件3。
二、上述第一阶段施工期间调整从2010年7月3日首班车开始实施,第二阶段施工期间的调整时间另行通知。
请候车乘客注意站点的变更。
营运部
2010.7.1

![]()

